They don’t make it particularly easy for you at the airport. We couldn’t check-in online because there are some procedures that you need to undertake at the airport before being issued with a boarding pass. Suffice to say, the queue at INGALA for our Galapagos transit card was very long, with only a couple of desks open, whereas the fully-staffed check-in desks were completely empty – go figure.
After a few hours we descended over the crystal clear waters and landed safely on Isla Baltra. Once we’d paid our Galapagos National Park entrance fee of USD100 and picked up our luggage, we met our rep, who immediately whisked us off in search of our boat.

Some 10 minutes after leaving the airport we were being shuttled by RIB across the warm blue waters towards our catamaran, Lonesome George, which had been hovering off the south coast of Isla Baltra, awaiting our arrival. It was a very slick operation; James Bond would have been proud!
Once on board, we were shown to our cabin – a relatively spacious double room, with air conditioning (between 8pm and 6am) and a private wet room-style bathroom – and taken upstairs for lunch, where we met the other 14 passengers (a mix of mostly young Brits, Germans and Israelis), the captain, the guide and two further crew. It’s quite remarkable that the catamaran was big enough to sleep so many – you really wouldn’t think it from the outside.
That afternoon we arrived at Punta Bartolome and our guide announced (in slightly broken English) that we would be snorkeling along the nearby shore. Unfortunately, one of the disadvantages of being last on board is that you are left with the kit that nobody else wants, so we were duly issued with pairs of odd flippers that didn’t fit properly and slightly leaky masks. Minor annoyance aside, we boarded the dingy and plunged into the water just a few meters from the rocky shore.
Two things surprised us. Firstly, how warm the water was and secondly, the sheer abundance of wildlife. The coastline was crawling with crabs (we made a note to let the chef know!) and in the water there were far too many brightly coloured fish to keep count of. It was extraordinary.

Excited, we spent the next hour or so paddling about spotting as much as we could. Our fellow passengers appeared less elated and we later learned that most were somewhat disappointed that we had not seen either sea lions or sharks. Yes, sharks.

The Sally Lightfoot crabs (named by English seafarers) used to be a great delicacy, however, are now protected in order to boost the numbers. The bigger they grow, the more colourful they appear, thus making it easier to spot and ultimately catch – a somewhat counterintuitive evolutionary development.
That evening we had dinner and spent some time exchanging stories with our fellow passengers, most of whom were younger than us, off exploring the world on their gap years. We felt wise (and old).

We woke the next morning having slept surprisingly well. At 6am the temperature is perfect and we sat on the deck with a coffee, taking in the sunrise and the 3 other boats that has appeared overnight. Despite the company, it never felt crowded. It was peaceful and relaxing – we were happily lost on a boat, somewhere in the Galapagos!
After a decent breakfast (excellent coffee, eggs, fresh fruit, muesli, yogurt, juice and bread) we prepared to go ashore. The routine was simple; breakfast, morning activities, lunch, afternoon activities, dinner and bed. That morning we’d be climbing to the volcanic cone viewpoint at the top of Bartolome and snorkeling around the distinctive Pinnacle Rock, to Bahia Sullivan (Sullivan Bay).
It was a hot, slow amble to the top and the guide’s poor English meant we spent more time and attention studying the lizards than listening to what he had to say. At the top we were forced to contend with the odd selfie-stick and some inconsiderate photo bombing (which was now the status quo) but the views more than made up for it. Far below us we could make out a submerged reef and several types of birds all dive-bombing the water around our boat in search of breakfast.
On the way down we had our first up-close-and-personal Galapagos sea lion experience. We spotted him dozing in the shade under the wooden walkway. He then got up onto the walkway and proceeded to shuffle towards the pontoon, where he stopped, took a look around and then clumsily flopped forwards into the water. Once in the water, he was away in seconds. He was totally fearless – it was as though we were part of the furniture.

Before lunch, we managed to squeeze in a quick snorkel from the beach. Not long after we started, there was a lot of commotion and people started shouting “shark”. Our guide found them, sleeping in a dark cove, a couple of meters from the surface. We were both terrified, particularly when they woke up. They only hung-around for a while, during which, Ed was apparently unable get the jaws music out of his head.
Contrary to what we (novices) expected, these white-tipped reef sharks are quite harmless and not uncommon. Indeed, we saw more of them over the next few days. We were still terrified, more Jaws music!

After lunch we boarded the RIB for a short ferry to our landing site in Sullivan Bay on the east coast of Santiago. We landed on a white coral sand beach and began our walk over lava that flowed less than 100 years ago. This is the perfect place to see and feel the volcanic origin of Galapagos.

This lava coastline stretched for several hundred meters and mostly consisted of what is known as “ropey” lava, since some of it looks just like rope. Our guide, having almost given up with the English, didn’t do too much talking but took us directly to the solitary cactus, that had somehow, over 100 years, managed to grow on this most unforgiving landscape.

At this point, a young German couple in the group decided it would be a good idea to get a selfie of them pouring water on the cactus. We stood aghast, not quite believing what we were seeing. What was even more shocking was that the guide didn’t say a thing and the Germans, post photo, skipped on, totally unaware of the heinous crime they’d just committed.
We obviously didn’t say anything but after the event, there was a reassuring head-tilt shared by us with some of the other members of the group – we weren’t mad, other people thought it was shocking too, we had not overreacted… phew!
From that point, we noticed a clear contrast amongst our group around how people behaved in the presence of extraordinary wildlife. Some would impatiently seek to cause a reaction, whilst most preferred to sit-back and observe. We were in the latter camp and, at times, felt ourselves having to bite our tongues when we perceived the more “intimate” group from overstepping what we would consider an acceptable mark. Perhaps it’s a cultural thing.

The next morning we had arrived at Isla Rabida – the high amount of iron in the lava give the island its distinctive red color and overall appearance. After another perfect sunrise later and we took the dingy to the mainland for a morning tour of the island. There was a sea lion waiting for us on the beach, who, clearly flustered by some overly intimate photography, took-off along the beach in search of some peace and quiet.

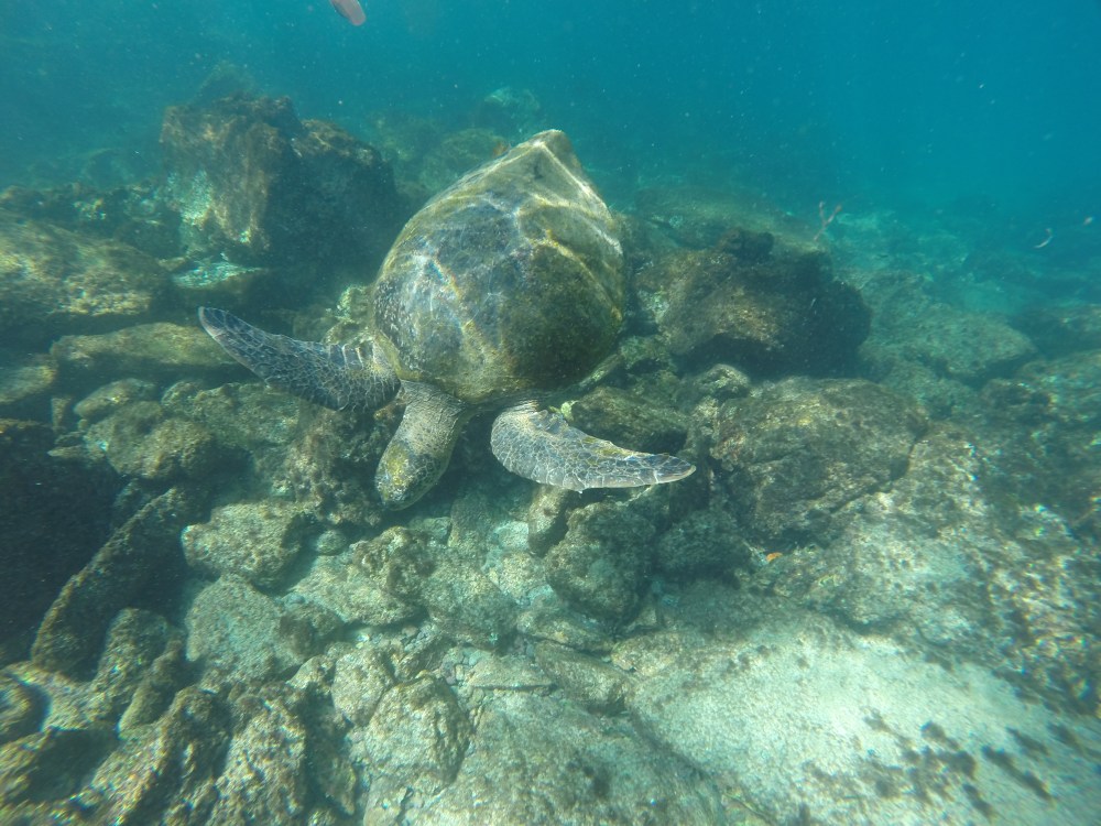
10 minutes Lolo spotted a sea turtle (all 4 foot of him) slowly inching his/her way down the beach to the water. We didn’t get a great view but thankfully that wouldn’t be our only encounter with these amazing creatures.
A quick scurry around the island and we were back on the beach, where we donned our fins & masks and started to snorkel back to our boat, which was waiting for us on the other side of a few cliffs. The visibility was excellent and on the way back we encountered a few more sharks (snore… been there, done that) and some extremely playful sea lions.
Instead of bolting at the first sight of us, the pair came closer. Initially we were both terrified but soon understood they were just being friendly and, having observed some of less scared fellow travellers, we swam a little closer. We (along with 14 others) enjoyed a good half-hour “playtime”.
That afternoon, we had decided to leave a bit of gap between us and our fellow snorkelers and casually slipped into the water a good 30 meters behind. Lucky for us that we did, since, rounding the coast into a calm lagoon, we encountered a monster sea turtle with her baby. The best part was we had them all to ourselves. We must have been hovering on the surface for a good half-hour before they left the lagoon and disappeared into the depths. Result!

That afternoon, the catamaran had set a course to Puerto Ayora, Isla Santa Cruz, where, the following morning, all of the passengers would be leaving. Fortunately, L and I had another 3 nights to look forward to, so we ambled off to bed at around 8pm to watch a celebratory film. At 10pm we had a knock on the window. We’d reached port and the others were all off into town to have a drink. We joined them and enjoyed the most expensive drinks we’d so far bought on our travels.
Early the following morning we said our goodbyes and followed our guide to the mainland. He walked us through town but only as far as the 2.5km path to Tortuga Bay (tortoise bay). He would not be joining us but said he’d be back after lunch to escort us to the Charles Darwin Research Station later that afternoon. We were grateful for some ‘alone’ time and started the shady march towards the coast, blissfully unaware of how hot it was.
The path opened up onto a huge white-sand beach. It was almost empty but for the odd pre-work surfer mixing it with the dangerous currents.

As we wandered along Tortuga bay we saw numerous marine iguanas – some of which were as long as 1.5 meters. These creatures are the world’s only seagoing lizard but we mostly observed them sitting, quietly on the beach.

Around the corner we arrived at a thin strip of perfect beach backed by mangroves, where the small crowd of humans would hang their clothes as they took to the clam water. We set-up camp at the far end of the beach, amongst a particularly friendly charm of Darwin’s finches – there was mutual fascination. We spent a few hours relaxing on the sand observing our chirpy friends and bobbing up and down in the water. It was bliss.
We lunched on board our catamaran, just the two of us. Grand ideas started to form and it wasn’t difficult to imagine that we were on our private yacht, sailing around the world. L swiftly reminded Ed that he wasn’t an enthusiastic sailor and was lucky that, up until now, none of the (rather old looking) sails had been unfurled.
The Charles Darwin Research Station was unfortunately being revamped and was mostly ground under repair when we arrived. I think our guide was pretty happy about that – less time required to speak English. We did get to see some magnificent looking giant tortoises and were told the story of Lonesome George (the name of our boat – note, not female).
Lonesome George was a male Pinta Island tortoise and when his island was devastated by introduced feral goats, he was found in 1971 to be the last remaining subspecies. Over the decades, all attempts at mating Lonesome George had been unsuccessful, due to the lack of females of his own subspecies. This prompted researchers at the Darwin Station to offer a $10,000 reward for a suitable mate. Sadly, on 24th June 2012, having produced no offspring, he died of old age. Sob.
Back on board, we were delighted to be introduced to a new guide, who spoke perfect English and clearly knew his stuff. We also met the new passengers, who were all charming. There were only 11 of us this time around and the luxury of space on board was most welcome!

We were immediately impressed at how much better our guide was and we actually began to enjoy stopping to listen to all of the interesting things he had so say. That morning we spotted Galapagos fur seals on the rocks, before exploring the lagoons off Punta Carrion, where we had another brief swimming encounter with some playful sea lions.
In the afternoon we spent a few hours ashore on Isla Plaza Sur (South Plaza) where we spotted large colonies of Galapagos land iguanas. Apparently the males engage in head-butting contests to defend their terrain – unfortunately, we didn’t witness this.
We also saw our first Blue-footed booby, one of four booby species on the islands. Silly name granted but these birds have bright blue feet and are famous for their courtship techniques, which involves the male picking-up its feet in a very dignified way, before becoming more animated, bowing, wing-spreading and sky-pointing in an enchanting display.

The following morning, when visiting Punta Pitt on Isla de San Cristobal, we were lucky enough to see this courtship in action. It was fascinating to see but we all felt very sorry for the male, who, after a good 45 display, must have been deflated to see the object of his affections fly away. He followed her but they both disappeared out of sight.
A quick snorkel before lunch and we were lucky enough to capture some underwater pictures, courtesy of our guide, who had kindly leant us his gopro.
Our final afternoon was supposed to be spent at Galapaguera Natural, a 5km hike inland on San Cristobal to see more giant tortoises in their natural environment. However, we were told that the top of the beach would be riddled with eggs, so it wouldn’t be possible to make it there.

Instead, we enjoyed our final afternoon on the beach, spotting iguanas, crabs and the odd sea lion, playing in the surf.

The next day we left ‘our’ boat and boarded a jeep, which would take us back to Puerto Ayora. En route, we stopped off at El Chato ranch, where we got to see a few more giant tortoises.
Seeing them in their natural habitat is clearly quite a tourist attraction and potentially quite a money-spinner for any landowner that is lucky enough to host them. However, the owners of these ranches have, in the recent past, been in trouble with the authorities for fencing them in. They have all since been made to remove the bottom wire on their fences, to allow freedom of movement.

Back in town we set-off to find Elmer, a friend of L’s who had kindly offered us a bed for the night. Elmer’s family have a jewellery business and he runs three stores in Galapagos and also spends his time running between Quito and Guayaquil, running several more. A charming man, who shares a passion for Gin, good food and a decent party, we hit it off immediately.
Shortly after our arrival he locked-up the store and we set out to a restaurant called Lo&Lo, where we enjoyed an excellent, Peruvian-style lunch.

On the way back to his apartment he showed us the wonderful fish market, which consisted of a couple of stone benches backing on to the sea. Boats would arrive and deposit their catch at the foot of the first stone bench. A couple of workers would then, with the help of their pet sea lion and a flock of pelicans, prepare the fish. The finished items would then be presented on the second stone bench, ready for sale.
Inspired by the wonderful array of (unfamiliar) fish on display we agreed on a plan to buy some fish, which Elmer enthusiastically offered to barbecue later that evening. Good food, decent music, fine wine and great company; it was a perfect evening and such a treat to be hosted at someone’s house again.
We left the next day, sad to be leaving such a wonderful place, but lucky to have witnessed so much incredible wildlife. Let’s just hope that the authorities continue to invest what’s needed to preserve this unique place…
One final stop at the jewellery store and a final farewell to Elmer – we thanked him and agreed to meet up again in Quito, towards the end of our trip.

Next stop, Cartagena, Colombia (via Bogota airport to pick-up Ed’s sister)
Highlights:
- The Galapagos Islands; is that too greedy?
- Those 6am sun rises onboard Lonesome George
- Swimming with sea lions (and friendly sharks)
- Elmer’s generous gin-fueled hospitality; thank you!
Gastro Highlights:
- Brujo fish, cooked expertly by Elmer on the barbecue
